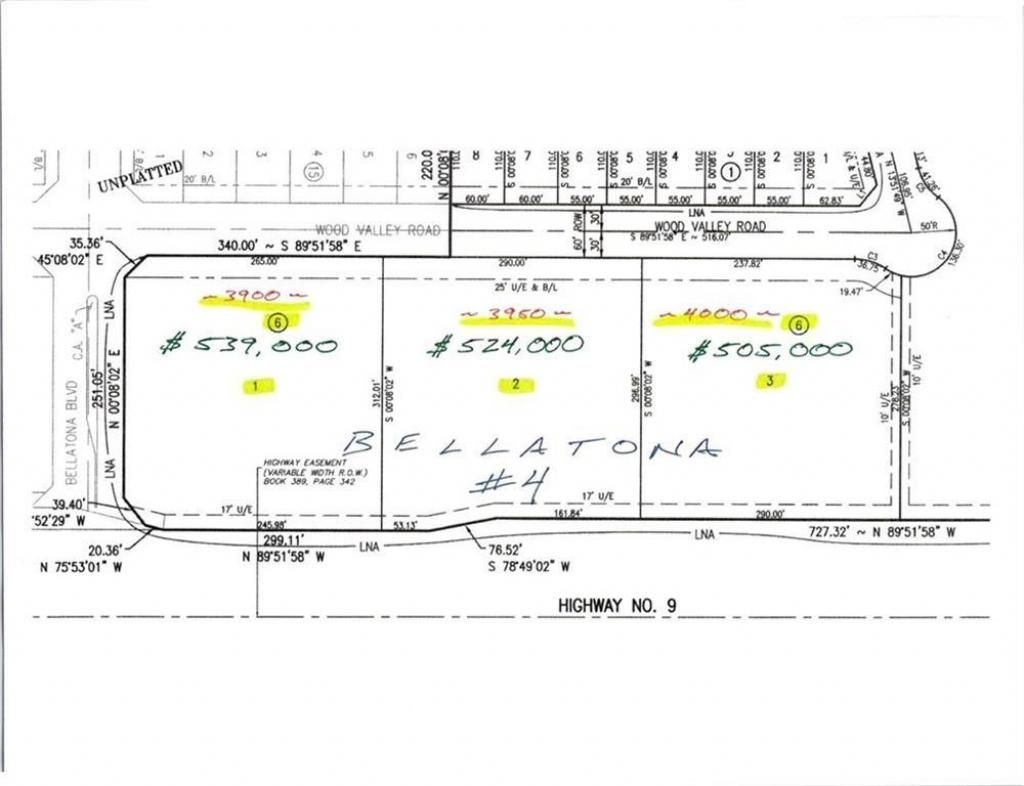
Zoning is C-1, commercial and is to be final platted by the City of Norman in the summer of 2023. City water and sewer and other public utilities are available. Great location along Highway 9 just east of the Postal Training Center with high traffic count and visibility along State Highway 9 and easy access. To the north, east and west there are large residential developments. Seller would cooperate with subdividing for potential buyers and accommodate existing site plans, specific acreage or layout requirements. Lot is 0n Wood Valley and Highway 9 is to the south.
Listed By
Agency Name: Dillard Cies Real Estate
Agency Phone: 405-366-7707
Agent Name: Thomas McAuliffe
Shown By
Agency Title: Crossland Real Estate
Agency Phone: 405-604-6800
Estimated Payment
$ 1,319.03 per month $1,166.20 Principal & Interest $0.00 Property Tax (data not provided by mls) $152.83 Homeowner's Insurance



3950 Wood Valley Road | MLS# 1068513
This land located at 3950 Wood Valley Road, Norman, OK 73071 is currently listed for sale with an asking price of $524,000. The property has approximately 0 Acres. Search Norman real estate on www.gocrossland.com today.